当前位置学海荡舟 -> 电脑乐园 -> Photoshop使用技巧



如何制作四分仪颜色效果?

(上)

  效果图:

效果图

  操作过程:

  1. 打开一幅图像,这里用的是一朵花的图像,如下图所示。

原图

  2. 在图层面板中将“背景”层拖曳到新建按钮上,复制出“背景副本”层。

复制背景层

  3. 执行“图像|调整|去色”命令,去掉副本层的颜色。

去色

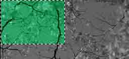
  4. 在工具箱选择矩形选框,选取副本层的左上角图像。

选取左上角

  5. 执行“图像|调整|色彩平衡”命令,如下图设置各参数。

色彩平衡

色彩平衡效果

 

 

下一页

  

 

上一技巧(如何制作透明浮雕字) 下一技巧(如何制作太阳雨效果)